Además, por lo que parece que dice el artículo, puede que tengamos un espacio recuperado para usos mixtos, tipo Cibeles y que se pueda recorrer gran parte del interior del edificio, que es una auténtica pasada (he tenido la suerte de poder trabajar un día en su interior).
La única pega es que si la entrada sigue en el chaflán, entre el paseo del Prado y Alcalá, las colas que se forman dificultan el tránsito de peatones en ese punto. Una razón más para el ya extenso argumentario que reclama la ampliación de aceras en el paseo del Prado.
Hay que ampliar esa acera ya!!! Hasta el Thyssen!!!
Es una gran noticia. El banco de España ya tiene una sala de exposiciones, pero es muy raquítica para el espectacular edificio que tenemos. Si realmente termina por materializarse (en este periodo de inestabilidad institucional es fácil hacer promesas), y le sumamos otras iniciativas próximas al paseo del prado: museo ramón y cajal, serranía belga con la colección Pérez simón, el espacio cultural Prado 30, etc… cada vez es más necesario, como dice el compañero @gromiko una reforma del paseo con ampliación de aceras.
Ha salido a concurso el proyecto de remodelación de la planta 2 y el ala de Calla Alcalá. Doy por hecho que está relacionado.
Contratación de los servicios de redacción de los Proyectos Básico y de Ejecución, y de Dirección Facultativa y Coordinación de la Seguridad y Salud de las obras de remodelación de la planta segunda y del ala de Alcalá de planta principal del Edificio Tradicional de Cibeles
Esa licitación es para reubicar servicios que actualmente están ocupando espacios que serán destinados al museo.
El plan Estratégico 2030 del Banco de España, aprobado por el Consejo de Gobierno el 26 de mayo de 2025, recoge, entre otros, la creación de un museo en parte del Edificio Tradicional del Complejo de Cibeles. Derivado de ello se hace necesaria la reubicación de diversos usos que ocupan en la actualidad los espacios afectados.
La reubicación se llevará a cabo en las crujías de fachada a Paseo del Prado y Calle Alcalá de planta segunda del Edificio Tradicional, crujía de fachada a Calle Alcalá en planta principal, y otros espacios interiores de la planta segunda referida.
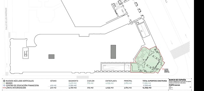
La superficie aproximada afectada por la reforma es de 2.775 m2, y se pretende redefinir los espacios afectados, creando zonas de oficinas y salas de reuniones que aprovechen los valores del Edificio Tradicional. Para ello es necesario reformarlo, dotándole de las condiciones de habitabilidad, protección contra incendios, evacuación y accesibilidad necesarias para cumplir la normativa en vigor.
Esta es la licitación para el Museo:
EL Museo Banco de España ocupara varias plantas del Edificio Tradicional del Complejo Cibeles, el cual está formado por varios edificios, que han ido siendo construidos a lo largo de la historia del Banco hasta completar la manzana entre la calle Alcalá, el Paseo del Prado, La calle los Madrazo y la calle Marqués de Cubas. El afectado por el Museo será el Edificio Tradicional construido en el s. XIX, obra de los arquitectos Eduardo Adaro y Severiano Sainz de la Lastra, no siendo descartable la necesidad de actuaciones puntuales en alguno de los espacios de la ampliación de los años 30.
La superficie aproximada objeto de la reforma es de 16.000 m2, y pretende la creación de un espacio expositivo no solo para la colección Banco de España sino también para que dicho espacio, cuyos valores quedan recogidos en su declaración de Bien de Interés Cultural, quede expuesto al público y pueda ser compartido con la ciudadanía.
El Banco de España previamente a esta licitación ha encargado a Estudio Herreros S.L.P. la realización de un estudio de viabilidad de la implantación
La entrada estará en Paseo del Prado 2
se propone habilitar como acceso principal y exclusivo para el público el situado en el Paseo del Prado 2.
Pues ese acceso es el peor posible, a no ser que sea premonitorio de una acera decente en Prado. El más cómodo y amplio es el de Alcalá, pero imagino que no conecta con los espacios previstos para el museo.
La de la Calle Alcala es la entrada principal al Banco de España.
Una cosa es reservar espacio para crear un museo dentro del edificio del Banco de España y otra ceder la entrada principal del Banco para algo que es accesorio al mismo aunque tenga acceso al espacio, por no hablar de mezclar en una entrada dos sistemas de seguridad diferente
se propone habilitar como acceso principal y exclusivo para el público el situado en el Paseo del Prado 2. Se recuperaría así una de las entradas más emblemáticas del Museo, que en la actualidad solo se habilita de forma muy ocasional. Esta decisión se propone como mejora de la opción de ingreso por el chaflán del edificio sobre la confluencia de las calles de Alcalá y Paseo del Prado, que hoy da acceso a la sala de exposiciones existente. La diferencia de cotas entre plantas, difíciles de salvar por medios mecánicos en un edificio con tal altos niveles de protección; la compleja relación con la escalera del chaflán, que debería mantenerse operativa en el resto de las plantas del inmueble, y la dificultad de orientación en el despliegue interior de las salas, que obligarían a elaborar un recorrido “de ida y vuelta” justifican el desplazamiento del ingreso principal del Museo a Paseo del Prado, 2. No obstante, el acceso por el chaflán no debe ser desdeñado como entrada alternativa para usos complementarios del programa principal del Museo.
la portada del Chaflán quedará reservada para eventos de inauguración o con horarios alternativos, conectando directamente con la actual sala de exposiciones, el Salón de Cobradores y el Patio de Efectivos sin necesidad de que el resto del Museo se encuentre abierto o pudiendo, sencillamente, segregar los flujos de uno y otro.
¿Hay algún enlace dónde se pueda ver la actual colección del banco?
Yo me respondo:
Pues menudo pedazo de museo va a quedar. Si el espacio que suelen utilizar para las exposiciones temporales es este, escalera excluida, y ya da para bastante.
El oasis cultural más tranquilo y silencioso de todo Madrid: un jardín privado con esculturas y café que pocos conocen El oasis cultural más tranquilo y silencioso de todo Madrid: un jardín privado con esculturas y café que pocos conocen
Sí, aunque solo está abierto de formal parcial. Cuando lo han abierto en su totalidad para alguna exposición es una auténtica maravilla.
Ojalá sirva para hacer presión y que se mejore esa acera. Mínimo que se duplique o triplique su tamaño.
Con tantas zonas del centro que se han mejorado en estos últimos años ampliando espacios peatonales y que está acera siga igual… es de Expediente X.
Jajaja pues aquí mas de uno se te va a echar encima diciendo que no hace falta, que ya está el paseo central, que va a colapsar la ciudad, que los estudios de movilidad, que por dónde metes los coches, que apocalipsis nuclear, que nosequé…
Otro coso que se sacan de la manga. Qué grande sería esta ciudad con gente a la altura al mando.
En esta ocasión estoy de acuerdo en el nombre. Al final distrito real de Madrid es algo que todo el mundo entiende, los austrias es castizo pero no queda claro lo que es, distrito real lo deja clarísimo.
De hecho, una vez esté todo reformado y si incluyen alguna cosita más pueden intentar ir a la Unesco a por el consabido patrimonio de la humanidad.
Paisaje de la Luz, Distrito Real, pensemos en otros nombres que puedan envolver otros lugares de esta ciudad.
El Madrid de las letras siempre me ha apasionado y creo que si se le pone en valor, podría ser sublime. Cómo podríamos cambiarle el nombre? Las calles de la literatura Y al barrio de Salamanca? Ciudad moderna
Di que sí renombremos toda la ciudad, borremos todo rastro de nuestra historia y pasado. De hecho podríamos llamarlo Royal district para que los pobres turistas lo entiendan. En fin, tremenda chorrada…




